| Above: Sea surface temperatures (SSTs) analyzed at 2 am EDT Tuesday, July 3, 2018, across the North Atlantic, as compared to the 1981-2010 average SSTs for this time of year, in degrees C (see scale at right). SSTs across most of the tropical Atlantic between the Antilles and Africa were running cooler than average, while the subtropical Atlantic SSTs were generally warmer than average. The cooler waters over the deep tropics are expected to play into a less-active-than-usual Atlantic hurricane season. Image credit: tropicaltidbits.com. |
Chillier-than-usual waters in the eastern North Atlantic have prodded the forecast group based at Colorado State University to reduce the amount of tropical cyclone activity they project for 2018 from the values predicted only one month ago. In their July update issued on Monday, CSU’s Dr. Phil Klotzbach and Dr. Michael Bell are now calling for a total of 11 named storms, 4 hurricanes, and 1 major hurricane for the season, including the named storm we’ve already had (Alberto). This is a major downgrade from the outlook issued on May 31, which had been calling for 14 named storms, 6 hurricanes, and 2 major hurricanes. The amount of accumulated cyclone energy (ACE), which takes into account both intensity and duration of each cyclone, is now projected to be 60 for the Atlantic season— only about two-thirds of its typical value for the period 1981-2010.
“I don't really see any way that this season ends up active at this point,” said Klotzbach in a Twitter message. “The Atlantic remains colder than normal, and the odds of El Niño look to be increasing too. We're also already starting to see stronger than normal wind shear in the Caribbean.”
CSU’s early July outlook was introduced in 2016 based on a fairly simple but quite effective statistical technique that relies on just two factors: the May-June sea surface temperature (SST) across the eastern North Atlantic and the June sea level pressure over the eastern tropical Pacific (see Figure 1 below). Together, these two easily assessed ingredients explain about 60% of the season-to-season variation in Atlantic ACE from July onward.
![]() |
| Figure 1. The two main factors that feed into CSU's July hurricane outlook are the the May-June sea surface temperature (SST) across the eastern North Atlantic (in a region bounded by latitudes 10°N and 50°N and longitudes 10°W and 30°W) and the June sea level pressure over the eastern tropical Pacific (in a region bounded by latitudes 15°S and 15°N and longitudes 150°W and 110°W). Image credit: Courtesy Phil Klotzbach, CSU. |
The main driver for this year’s tepid July outlook was the cooler-than-average May-June SSTs over the eastern North Atlantic (see image at top). Cooling in this region often goes hand in hand with relatively cool waters in the Main Development Region (MDR) of the tropical Atlantic, and in turn with slower-than-average hurricane seasons. In fact, the waters of the MDR were the coolest for mid-June since at least the mid-1980s, as Klotzbach pointed out in a Capital Weather Gang post on June 18. The cooling happened quickly over the last several months, Klotzbach explained, as high pressure intensified over the Atlantic subtropics, strengthening the trade winds and stimulating upwelling of cooler water.
In contrast, there was little influence on the July outlook from sea level pressures in the eastern tropical Pacific. With neither El Niño nor La Niña in place, these were running near average. However, an El Niño Watch is now in effect, and the odds appear to be rising for at least weak or borderline El Niño conditions by August, which could put a further brake on tropical activity in the Atlantic.
Overall, the CSU outlook is for a hurricane season much more like those in the relatively calm period from the 1970s to the early 1990s as opposed to the more active period that’s prevailed from 1995 onward. “My thoughts are that this season will be quiet in the deep tropics. It's going to be more the subtropical-type formations that we need to watch for,” said Klotzbach. This is a good time to remember that 1992 was a largely tranquil year—apart from Andrew, which hurtled into the Miami area as a fast-developing Category 5 and caused massive destruction. Andrew didn’t strengthen in a big way until it moved out of the deep tropics and approached the Bahamas. Right now, Atlantic SSTs are running above average north of about 25°N, and more than 1°C (1.8°F) above average over the northern Gulf of Mexico and over large parts of the North Atlantic between about 30°N and 35°N.
In their outlook, Klotzbach and Bell reiterated their usual note of caution: “Coastal residents are reminded that it only takes one hurricane making landfall to make it an active season for them, and they need to prepare the same for every season, regardless of how much activity is predicted.”
![]() |
| Figure 2. Predicted tracks of a potential tropical depression or tropical storm from the 0Z Tuesday European model ensemble forecast (left) and 0Z Tuesday GFS ensemble forecast (right). The tracks from the operational version of the models is shown in red (presumably the best forecast). About 20% of the ensemble members of the European model and over 50% of the members of the GFS model predicted that a tropical depression would form late this week. The purple dots show where the predicted storm is at tropical depression strength, and the blue dots, tropical storm strength. None of the ensemble members predicted that a hurricane-strength storm (light blue dots) would form. Image credit: cfanclimate.com. |
Tropical depression could develop southwest of Bermuda late this week
An area of surface low pressure is expected to form in the waters between Florida and Bermuda late this week, beneath an upper-air trough of low pressure. Sea surface temperatures (SSTs) in this region are near 28°C (82°F), about 1°C (1.8°F) above average—plenty warm enough to allow the non-tropical low-pressure system to gradually transition into a warm-cored tropical cyclone. The 0Z Tuesday operational runs of our top three models for predicting tropical cyclone genesis--the European, GFS and UKMET models—all showed some weak development of this system by Friday or Saturday, in the waters a few hundred miles southwest of Bermuda. About 20% of the 50 members of the European model ensemble and over 50% of the 20 members of the GFS model ensemble also supported this idea. The solutions predicted a northwesterly to northerly track for the storm, keeping it well away from the U.S. East Coast.
Only a few of the ensemble members of the 0Z Tuesday European and GFS models predicted that this system would intensify beyond tropical depression strength. The system has until Sunday to get its act together, before a cold front overtakes it and makes development unlikely. This storm does not look to be a threat to any land areas. In their 2 pm EDT Tropical Weather Outlook, the National Hurricane Center gave 2-day and 5-day odds of development to this system of 10% and 30%, respectively.
![]() |
| Figure 3. GOES-16 satellite image at 11:15 am EDT July 3, 2018, of a tropical wave located about 500 miles southwest of the Cabo Verde Islands. Image credit: NOAA/RAMMB. |
Tropical wave off the coast of Africa bears watching
A tropical wave in the eastern Atlantic, located about 500 miles southwest of the Cabo Verde Islands early Tuesday afternoon, bears watching as it heads west to west-northwest at about 15 mph this week. Sea surface temperatures (SSTs) in this region were near 27°C (81°F) and wind shear was a moderate 10 – 20 knots, conditions favorable for development. There is a large area of very dry air, associated with the Saharan Air Layer (SAL), just to the north of the wave, and this dry air will retard development. Satellite images early Tuesday afternoon showed that this disturbance had a moderate amount of spin and heavy thunderstorm activity.
The 12Z Tuesday GFS model showed some weak development of this system by Thursday, midway between Africa and the Lesser Antilles Islands. About 40% of the 50 members of the 0Z Tuesday European model ensemble and 40% of the 20 members of the 0Z Tuesday GFS model ensemble also supported this idea. As the system approaches the Lesser Antilles Islands on Saturday, wind shear and dry air are expected to increase, and all of the forecasts have the storm dying out before reaching the islands on Sunday. In their 2 pm EDT Tropical Weather Outlook, the National Hurricane Center did not give odds that this wave would develop, but we give it 2-day and 5-day odds of development of 0% and 10%, respectively.
![]() |
| Figure 4. Predicted precipitation for the 5-day period ending at 8 pm EDT Saturady, July 7, 2018. A Gulf of Mexico disturbance is predicted to bring rainfall amounts 2 - 5 inches to much of the Central Gulf Coast. Image credit: National Weather Service. |
Tropical disturbance bringing heavy rains to Central Gulf Coast
A tropical disturbance near the coast of Louisiana is bringing heavy rains to the coasts of Louisiana, Mississippi, Alabama, and Southeast Texas. The center of the disturbance is over land, so the system is not a threat to develop. The disturbance is moving slowly to the west, and radar-estimated precipitation amounts of 2 – 4” had already fallen over much of the coast as of Tuesday afternoon. A flash flood warning was issued for portions of the New Orleans metro area on Tuesday morning, after 3 – 5” of rain fell in just a few hours. Power was knocked out to 13,000 customers, according to the Associated Press.
![]() |
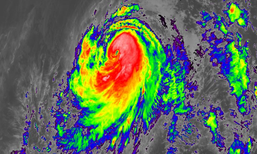
| Figure 5. Infrared image of Hurricane Fabio at 1645Z (9:45 am PDT) Tuesday, July 3, 2018. Image credit: NASA/MSFC Earth Science Branch. |
Fabio puts on a show in the East Pacific; dangerous surf expected in SoCal
Well away from any land areas, Hurricane Fabio vaulted to Category 2 strength on Tuesday, after becoming the earliest “F” storm in any East Pacific season on record early on Sunday, July 1 (beating out Fausto of July 3, 1984, and Fefa of July 3, 1985). Centered about 650 miles southwest of Cabo San Lucas, Mexico, at 8 am PDT Tuesday, Fabio was moving west-northwest with top sustained winds of 105 mph.
Fabio will continue tracking parallel to the Mexican coast until it weakens, so it poses no direct threat to land. However, its large circulation will push swells and high surf toward the south-facing beaches of Southern California later this week. Waves could easily top 10 feet, along with deadly rip currents, and some minor coastal flooding is possible. It’s not unusual for major East Pacific storms to bring high surf to the region. In this case, the hazards could affect an especially large number of beachgoers, given that it’s a holiday week and that a major heat wave over the next few days has the potential to push 100°F+ desert air all the way to some coastal locations.
Wind shear is predicted to remain quite low over Fabio—less than 10 knots—through at least Thursday. However, the hurricane is rapidly moving toward cooler waters. Sea surface temperatures along Fabio’s projected path drop below the benchmark 26°C for tropical development on Wednesday, and they tumble to near 20-22°C (68-72°F) by Thursday. Together with a gradually drying mid-level environment, these cool waters will spell the death knell for Fabio’s brief run at glory, although NHC was predicting on Tuesday morning that Fabio would briefly peak at Category 3 strength by late Tuesday.
Here's wishing a happy Fourth of July to our U.S. readers!
Bob Henson co-wrote this post.








