| Above: A robin rests sitting on a branch of a covered tree in Silver Spring, Maryland, on February 6, 2010. Shortly after the 2010s began, a huge winter storm—dubbed "Snowpocalypse" and "Snowmageddon"—dumped a blanket of thick snow over the U.S. East Coast, paralyzing the region and snapping power lines to thousands of people. Image credit: Jewel Samada/AFP via Getty Images. |
Rather than trying to wrap my own arms around the smorgasbord of weather and climate events we saw in 2019 and throughout the 2010s—keeping in mind that many people define the decade as ending a year from now—I thought I’d use this final Category 6 post of the year to highlight some of the great work of my colleagues in summarizing the year and the decade gone by.
At weather.com, Jon Erdman has compiled the most unforgettable U.S. weather stories of the 2010s. These stories are ranked “not simply by the magnitude of their impacts at the time, but also their effects lingering for months or years after.” Looking back through these events reminds us how communities and people may be still dealing with the impacts of a weather disaster months and years after the world’s attention has moved on.
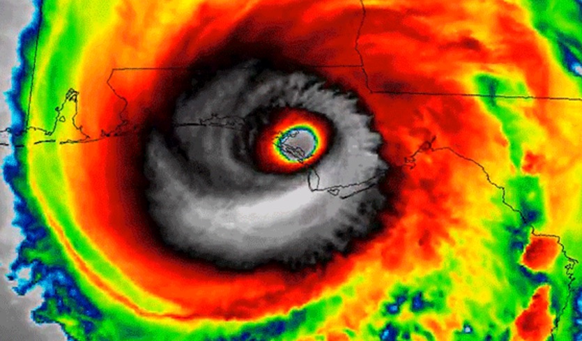
![]() |
| Figure 1. Infrared satellite image of Hurricane Michael's Category 5 landfall near Mexico Beach, Florida, on Oct. 10, 2018. Image credit: NOAA. |
Similarly, Capital Weather Gang weighed in with its picks for the ten most extreme U.S. weather events of the decade. Their list includes some overlap with the weather.com list, as well as some interesting differences.
Erdman has also put together a fascinating look at the weirdest U.S. weather events of 2019, including the top ten picks (both epic and small-scale) and a healthy contingent of quirky runners-up. It’s all here, from a beehive that blows into someone’s head to a lightning strike only 110 miles from the North Pole.
![]() |
| Figure 2. In this aerial photograph, the Missouri State Capitol is seen Thursday, May 23, 2019, in Jefferson City, Missouri. Material covering part of the exterior of the building as it was undergoing a renovation was damaged during a tornado on the night of May 22. The tornado struck just hours after the entire city north of the Missouri River had been placed under mandatory evacuation due to flooding. The swollen Missouri River is seen in the background. Image credit: AP Photo/Jeff Roberson. |
For an eye-popping look back at 2019, you can’t beat the Weather Channel’s Stu Ostro, who has just released his 14th annual compilation of top meteorological images of the year. “It continues to get harder not easier!”, says Ostro, adding: “I can’t keep up with everything much less include it all here.”
All of this (and much more) happened in #weather during the #2010s pic.twitter.com/TjGY3jXgaK
— Stu Ostro (@StuOstro) December 31, 2019
Climate change in the 2010s
Kate Marvel (Columbia University/NASA Goddard Institute for Space Studies) gives us a rueful, meditative look at climate change over the 2010s, which she calls “the decade we knew we were right.” Noting that “the climate always changes,” she pointedly adds: “There have always been gentle and natural deaths. This does not make murder impossible.”
InsideClimate News, one of the leading sources of in-depth climate reporting, has a set of yearly and decadal retrospectives, including the top climate-related discoveries of the 2010s and the biggest climate extremes of the decade.
Independent meteorologist/blogger Guy Walton published his list of top-ten climate-crisis events of the decade on Saturday. His wide-ranging list includes the relentless increase in global carbon dioxide concentrations (up from about 390 parts per million in early 2010 to more than 410 ppm by late 2019); hurricanes Harvey, Maria, and Irma in 2017; and the meteoric rise of climate activist Greta Thunberg in 2018 and 2019.
I’ve summarized the climate-related science, impacts, politics, and activism of the past decade (as best I could—it’s a tall order) in my own lookback essay for weather.com’s Collateral site.
We’ll find out in January how the various groups that monitor global climate end up ranking global temperatures for 2019. Right now it appears most likely that it’ll be the second warmest year on record, behind only 2016.
As for next year, NASA/GISS director Gavin Schmidt gives 40% odds that 2020 will set a new record for global temperature, with a potential El Niño event already taking shape.
As 2019 wraps up, what can we look forward to in 2020?
— Gavin Schmidt (@ClimateOfGavin) December 22, 2019
More of the same, plus a little bit more... pic.twitter.com/nmMP6riIjZ
Still on the way
Dr. Jeff Masters will give us his picks for the top ten weather and climate stories of 2019 later this week at his Eye of the Storm blog at ScientificAmerican.com. Jeff also plans to post summaries in January of the planet’s Category 5 storms in 2019, as well as the billion-dollar weather events that occurred globally over the past year.
Weatherwise magazine will feature its choices for the top ten U.S. weather stories of the decade, along with other annual and decadal highlights, in its upcoming March/April 2020 issue.
For a forward-looking take on the new year, check out Dr. Marshall Shephard’s compilation in Forbes of what 20 experts envision in the way of weather and climate advances to come in the 2020s. Spoiler alert: artificial intelligence will be a huge player, but we'll also be paying closer attention to how people interpret and use forecasts. "It is an exciting time to be a part of a rapidly maturing scientific field," says Marshall. I heartily agree.
Here’s wishing each of you a happy and healthy start to 2020—and here’s hoping the new decade brings us the political willpower and the technologies to make the emission cuts that are sorely needed to ensure the health of our planet’s climate and ecosystems.
Happy New Year, everyone!
![]() |
| Figure 3. New Year's Eve fireworks erupt over Sydney's iconic Harbour Bridge and Opera House (left) during the fireworks show on January 1, 2020. Image credit: Peter Parks/AFP via Getty Images. |






