| Above: GOES-16 view of a Central American Gyre over the Southwest Caribbean at 10:45 am EDT October 5, 2018. The gyre had two centers of low pressure embedded within it: one designated 97E by NHC over the Pacific, and one likely to be designated as 99L, near the northeast coast of Honduras in the Caribbean. Image credit: NOAA/RAMMB. |
A broad area of low pressure with a large circulation was located over the southwestern Caribbean Sea near the coast of northeast Honduras on Friday morning, and was generating disorganized heavy thunderstorms over much of the southwest and central Caribbean. This system is likely to develop into a tropical depression early next week as it drifts slowly northwestward, and it will bring dangerous heavy rains to portions of Central America over the next three days. A hurricane hunter aircraft is scheduled to investigate the disturbance on Sunday afternoon.
The low has already brought torrential rains, flooding, and landslides to Costa Rica. According to the Costa Rica National Institute of Meteorology, in the 24 hours ending at 8:35 am local time Friday, Paquera (in southwest Costa Rica) recorded 15.75” (400 mm) of rain, with rainfall rates as high as 2” per hour. Nearby Santa Rita de Nandayure recorded 12.26” (311 mm) in the 24 hours ending at 7 am. Flooding was reported in the vicinity of Puntarenas, Paquera, and Lepanto, and landslides were reported in San Ramón de Alajuela.
The broad circulation of the low qualifies it as a Central American gyre (CAG)--a weak, sprawling cyclone that can deliver torrential rains and lead to catastrophic flooding. This gyre is so large that it has a separate area of lower pressures on the Pacific side of Central America, just offshore of Nicaragua, that is a threat to generate a separate tropical depression. This Pacific lobe of the CAG has been designated as an “Invest” by NHC—97E. In their 8 am EDT Friday Tropical Weather Outlook, NHC gave 97E 2-day and 5-day odds of development of 20% and 30%, respectively.
Even if a #TC does not form in association with the #CAG, the primary impact will not change.
— Philippe Papin (@pppapin) October 4, 2018
Monsoonal flow on the southern side of the CAG is associated with enhanced tropical moisture & flooding rains will continue across Central America, the Yucatan & Greater Antilles. pic.twitter.com/2x6sG5iq9e
Other CAGs that became named storms
Tropical cyclones that form from CAGs are mainly a heavy rain threat, and typically do not become stronger than Category 1 hurricanes. One year ago, on October 4, a similar CAG gave birth to Tropical Depression Sixteen (TD 16) in the Southwest Caribbean off the coast of Costa Rica. TD 16 would later become Hurricane Nate, which made landfall on Louisiana’s Mississippi Delta as a Category 1 storm on October 7. Nate brought torrential rains and devastating flooding to Costa Rica, causing $562 million in damage (1% of their $57 billion GDP)--their most expensive tropical cyclone in history. Nate also did $225 million in damage in the U.S. The name Nate was retired after the 2017 season because of its impact on Central America, where 46 people died.
One other CAG from 2017 evolved into a named storm—Tropical Storm Cindy, which formed in the southern Gulf of Mexico near the northern Yucatan Peninsula. Cindy made landfall near the Texas/Louisiana border on June 22 with top winds of 50 mph, causing minimal damage. A weather.com write-up on CAGs contains a list of five other named storms that were spawned by or interacted with a CAG since 2005.
High shear preventing development for now
Satellite loops on Friday showed that the Atlantic portion of the low, which had not yet been given an “Invest” designation, had a surface circulation that was attempting to organize near the northeast coast of Honduras. A modest number of heavy thunderstorms were bubbling to the east of the center. There was a much more pronounced rotation to the cloud pattern and more intense heavy thunderstorm activity associated with 97E, on the Pacific side of Central America.
Wind shear over the Southwest Caribbean was a very high 20 – 40 knots, due to the presence of a strong subtropical jet stream. The large, counter-clockwise circulation of the low was pulling a flow of very moist air from the Pacific over coastal Costa Rica and Nicaragua, where over a foot of rain is possible by Saturday, according to recent runs of the GFS model.
Increasing confidence in development
The shear over the Western Caribbean will relent this weekend, when the subtropical jet stream is predicted to lift to the north, so that it is positioned over Cuba. This will create a region of lower wind shear over the central and western Caribbean. Development of a tropical depression by Tuesday over the southern Gulf of Mexico has had increasing model support over the past two days, and this now appears likely.
All three of our reliable models for predicting tropical cyclone genesis predicted that a tropical depression would form in the southern Gulf of Mexico, just north of the Yucatan Peninsula, by Tuesday. In addition, over 50% of the 70 ensemble members of the 0Z Friday GFS and European models predicted development. Notably, the European model and its ensembles predicted that 97E would cross over Central America into the Southwest Caribbean and develop, while the GFS model ensembles predicted that development would occur around the center of circulation attempting to form along the northeast coast of Honduras. This confusion over where the center of development might occur will likely make initial development slow. Development will also be slow due to the system’s large circulation. The most likely type of storm that might evolve is a large and slow-to-intensify ugly-looking mess that would primarily be a heavy rain threat. However, the 12Z Friday runs of the GFS and UKMET models were bullish on the possibilty of the storm getting its act together on Tuesday over the central Gulf of Mexico and likely making landfall on Wednesday as an intensifying Category 1 hurricane. The most probable track such a storm might is to the north, with a landfall occurring as early as Wednesday between southeast Louisiana and the Florida Panhandle. In their 8 am EDT Friday Tropical Weather Outlook, NHC gave the system 2-day and 5-day odds of development of 30% and 60%, respectively. The next name on the list of Atlantic storms is Michael.
![]() |
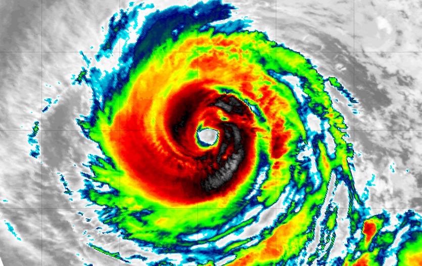
| Figure 1. Infrared image of Hurricane Sergio at 1450Z (10:50 am EDT) Friday, October 5, 2018. Image credit: tropicaltidbits.com. |
Elsewhere in the tropics: Four landfalls possible in the coming week
Here’s what we have cooking in the tropics outside of the Caribbean/Gulf of Mexico:
—Tropical Storm Leslie remains remarkably steady-state in the central North Atlantic, well northeast of Bermuda, with top winds of 65 mph at 11 am EDT Friday. Leslie will be making a gradual east-southeast arc through the middle of next week, then recurve sharply northeast. Both the GFS and European models from 0Z Friday bring Leslie across the Azores as a tropical or subtropical storm late next week. Swells and surf from Leslie will continue to affect the U.S. East Coast and the Canadian Maritimes into early next week.
—Hurricane Sergio is slowly weakening, but it remained at Category 3 strength well west of Mexico at 11 am EDT Friday, with top winds of 115 mph. Sergio will head southwest over the weekend, then carry out a 180-degree course change early next week. The 0Z Friday GFS and Euro model runs bring Sergio across the coast of Baja California around Thursday as a weakening hurricane or tropical storm. Sergio may end up stoking heavy rains in the Southwest U.S., much as ex-Hurricane Rosa did this week.
—Tropical Storm Kong-rey will roll across the southern end of the Korea peninsula on Saturday morning local time, then race across or near Japan’s northernmost large island, Hokkaido, on Sunday. Top sustained winds could remain as high as 60 mph. Kong-rey has already brought more than 10” of rain to the Japanese island of Kyushu, and rains of 2” – 4” can be expected across South Korea, with larger amounts near higher terrain. Kong-rey may lead to the fourth cancellation in the 18-year history of the Seoul International Fireworks Festival.
—Invest 99A, a disturbance in the far eastern Arabian Sea off the west coast of India, is projected to intensify into a hurricane-strength cyclone next week as it heads west towards Africa. The 0Z Friday runs of the GFS and European models show 99A hitting Oman or Yemen late next week. Earlier this year, Cyclone Sagar became the strongest and westernmost cyclone on record to strike nearby Somalia, and only the fifth cyclone landfall for Somalia in records going back to 1966.
Bob Henson wrote the "other storms" part of this post.




